Skip to content
Sandy's Plants, Disease and Insect ID Blog
Open Menu
Close Menu
Menu
About me
More About Plants, Diseases and Insects
Other Places I’m Found
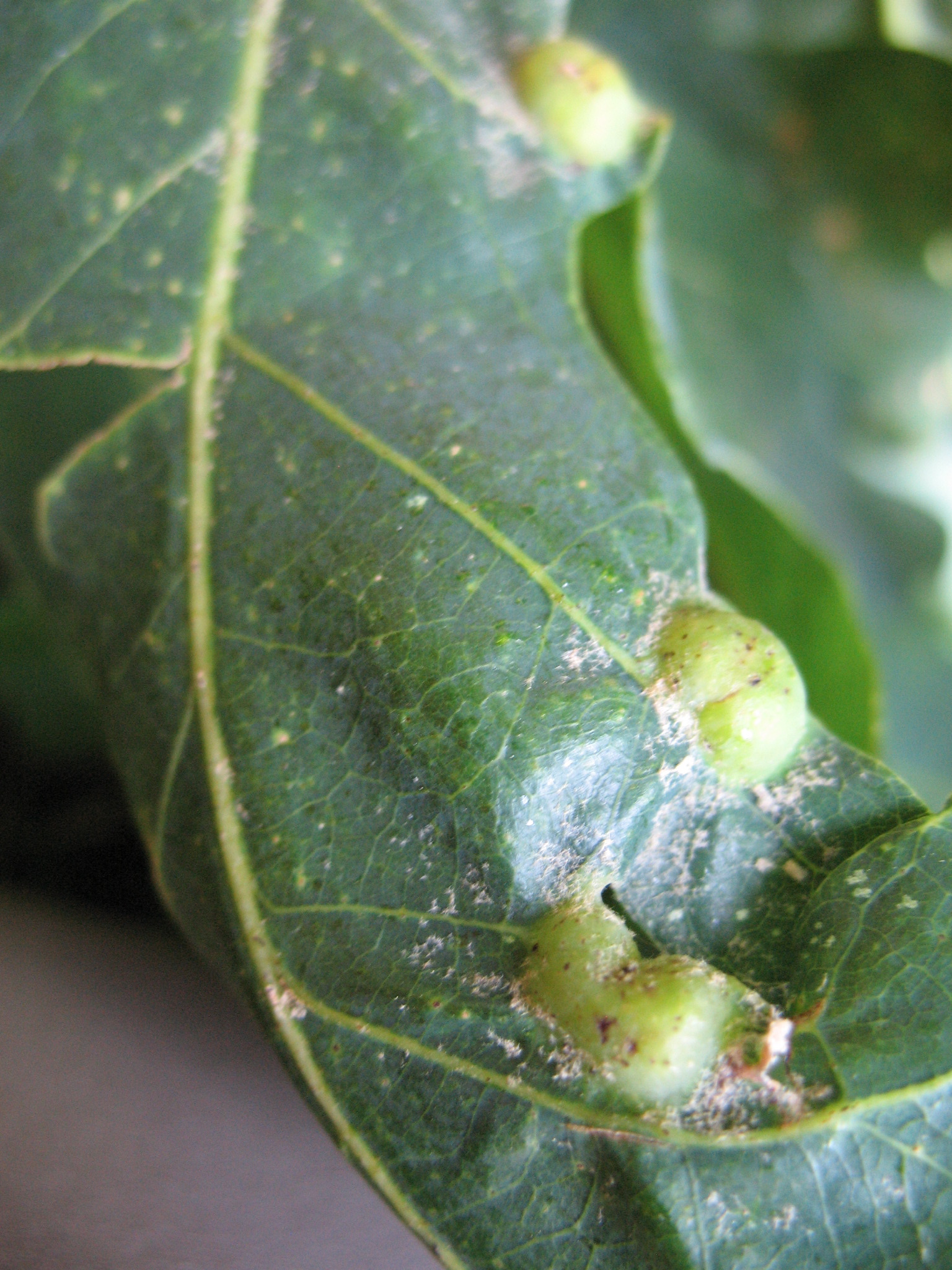
quercus alba – aphid galls
Leave a comment
Cancel reply
Δ
Comment
Subscribe
Subscribed
Sandy's Plants, Disease and Insect ID Blog
Sign me up
Already have a WordPress.com account?
Log in now.
Sandy's Plants, Disease and Insect ID Blog
Subscribe
Subscribed
Sign up
Log in
Copy shortlink
Report this content
View post in Reader
Manage subscriptions
Collapse this bar
Privacy & Cookies: This site uses cookies. By continuing to use this website, you agree to their use.
To find out more, including how to control cookies, see here:
Cookie Policy
close-alt
close
collapse
comment
ellipsis
expand
gallery
heart
lock
menu
next
pinned
previous
reply
search
share
star